조황관리HOME / 조황관리 / 상세정보

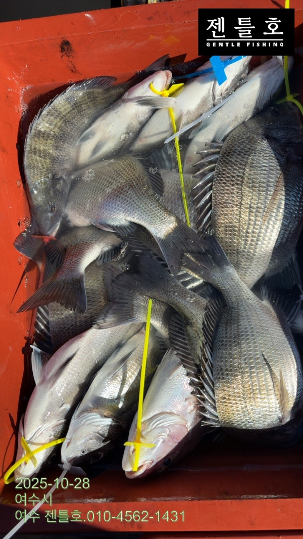
제목 : [여수 젠틀호] #감성돔선상 10.28 조황입니다.
등록일 : 2025-10-28


















#감성돔

안녕하십니까 . 여수 젠틀호 입니다.
28.화. 감성돔선상 조황입니다. 
수요일 쉬어가고 목요일부터 출항합니다.
주말예약은 미리 서둘러 주세요^^
출항안내는 선상24나 유선으로 문의 바랍니다.

*** 여수 젠틀호 예약 안내 ***

예약문의 : 010-4562-1431
오시는길 : 여수시 신월5길55. 넙내리 방파제
예약사이트 : https://gentle.sunsang24.com/ 
밴드 : 여수 젠틀호 https://band.us/@gentle 



*** 여수 젠틀호 예약 안내 ***


예약문의 : 010-4562-1431

오시는길 : 전라남도 여수시 신월5길 55

모바일.gif


Top