예약내역
|
로그인
|
회원가입
|
고객센터
실시간예약
조황정보
먹물조황
선박소개
공지사항
기상안내
1:1문의하기
조황관리
HOME /
조황관리
/ 상세정보
제목 :
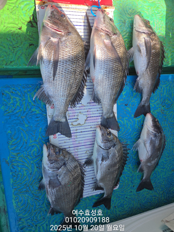
20일 월요일 감성돔 조황입니다
복사
등록일 :
2025-10-20
*** 여수 효성호 예약 안내 ***
예약문의 : 010-2090-9188
오시는길 : 전남 여수시 신월5길 55
홈페이지 :
https://eunhasuho.sunsang24.com/
이전글
다음글
조황관리목록
Top